[小滝橋動物病院]
東京都新宿区の動物病院
新宿区 大久保・下落合・高田馬場
日曜日も診療・駐車場完備

[小滝橋動物病院]東京都新宿区の動物病院
新宿区 大久保・下落合・高田馬場
日曜日も診療・駐車場完備

CASES 症例紹介
ここでは特徴的な症例について、一部をご紹介いたします。
※手術の写真を掲載しておりますので、苦手な方はご注意ください。
小滝橋動物病院グループ全体の外科症例件数については、>こちらをご参照ください。

頸部気管虚脱に対する外側ステント術

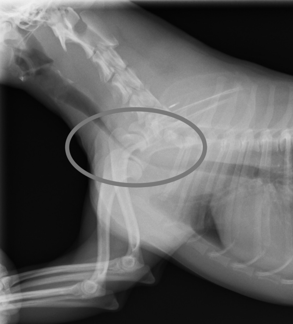
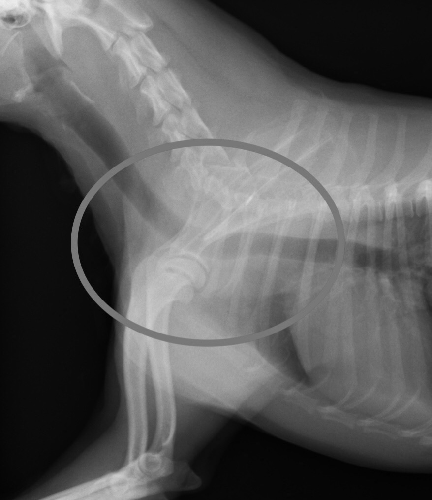
気管虚脱とは気管の変形により、咳や呼吸困難を生じる病気です。ヨークシャーテリアやポメラニアン、チワワ、柴犬などに多く発生します。 重症化した場合には、暑い季節には熱中症を引き起こしたり、寒い季節には咳嗽などを惹起します。重症化・複雑化すると、呼吸不全により死に至る場合もあります。 外科手術(気管外側ステント術:PLLP)により、この気管虚脱を治療した症例の術前、術中、術後のレントゲン写真をご紹介いたします。このように術前には狭くなっていた気管が術後、劇的に開いています。もちろん、咳などの症状も改善しており、安定してます。 外科手術の適応は頸部の気管虚脱のみが適応で、またそのレントゲン検査、超音波検査、血液検査や透視レントゲン検査などを用いて、その重症度・合併症の詳細な評価必要です。 全ての気管虚脱症例が手術適応なわけではありません。 呼吸器の相談に関しましては当院小薗江にご相談ください。
手術前のレントゲン画像。 ◯内の狭窄した気管が確認されます。
手術中の気管の写真。 変形し、扁平になった気管が確認されました。
外側ステントに縫着し、矯正した気管の術中写真。
手術後1ヶ月のレントゲン画像。 1と比べて、しっかりと拡張した頸部気管が観察されます。 臨床症状も1ヶ月時点でほぼ全て消失しました。
*最新 小動物外科学体系5 呼吸器系 74Pより抜粋 基本的にはGradeⅢ以上、気管径の50%以上の狭窄を認め、臨床症状を呈している症例が本手術対象となる。